Vieiros

Vieiros de meu Perfil


Edición xeral

RSS de Edición xeral
Logo de afrouxar o perigo nas últimas horas

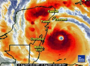
O Dean suma doce mortos e ameaza recuperar forza ao volver ao mar

O furacán diríxese debilitado cara á costa oeste da península de Iucatán e a Belice, mais podería recobrar forzas ao entrar nas augas do Golfo de México.

Redacción - 09:30 22/08/2007

Na rede:

Na prensa:

O furacán Dean perdeu forza ao longo deste martes e se sitúa na categoría 3 da escala Saffir-Simpson, logo de chegar á costa caribeña de México cunha intensidade máxima de 5, segundo informou no seu último parte meteorolóxico, das 15.00 horas (GMT, 17.00 en Galiza), o Centro Nacional de Furacáns estadounidense.

Alí golpeou as antigas ruínas e as modernas instalacións petrolíferas da península de Iucatán con ventos que superaron os 260 quilómetros por hora e con refachos de até 315 no interior.

Centos de turistas fuxiron das praias da Riviera Maya e máis de 18.000 traballadores da empresa estatal Petróleos Mexicanos (Pemex) foron evacuados pola compañía do sur do Golfo de México, incluídas as instalacións de Cantarell (Campeche).

Até o de agora, polo menos unha ducia de persoas morreron tras o paso do Dean, polo Caribe, onde colleu forza logo de rozar Xamaica, as Illas Caimán, Cuba, República Dominicana e Haití, e se converteu nun furacán de categoría 5.

O ollo do furacán tocou terra na península de Iucatán, ás 3.00 horas (9.00 en Galiza), nas inmediacións de Puerto Bravo (estado de Quintana Roo), e desprazouse cara ao oeste a 32 quilómetros por hora.

Está previsto que o Dean atravese o Iucatán cara á súa costa oeste e afecte tamén ao Estado de Belice, fronteirizo con México, onde permanecen en estado de alerta, xa que podería recobrar forzas coa súa entrada nas augas mornas do Golfo de México.


0/5 (0 votos)

Sen comentarios

Novo comentario

É preciso que te rexistres para poder participar en Vieiros. Desde a páxina de entrada podes crear o teu Vieiros.

Se xa tes o teu nome en Vieiros, podes acceder dende aquí: